Great Barrier Reaf

Geschichte:

Das Great Barrier Reef liegt nordöstlich von Australien an der Ostküste des Bundesstaates Queensland im Südpazifik und erstreckt sich von der Torres-Straße vor Papua-Neuguinea bis zur Lady-Elliot-Insel, die etwa 75 Kilometer nordöstlich von Bundaberg liegt. Es ist inzwischen auf eine Länge von gut 2.300 Kilometern angewachsen und erreicht damit eine Ausdehnung vom 10. bis zum 24. südlichen Breitengrad. Entdeckt wurde es am 11. Juni 1770 durch den britischen Seefahrer James Cook, als er während seiner ersten Südseereise (1768-1771) dort mit seinem Schiff HMS Endeavour auf Grund lief.

Das Riff verläuft am östlichen Rand des australischen Kontinentalsockels. Es liegt zwischen 30 Kilometern (bei Cairns) und rund 250 Kilometern (bei Gladstone) von der fast parallel verlaufenden australischen Ostküste entfernt. Es besteht aus einer Kette von über 2.900 Einzelriffen, etwa 1.000 Inseln, wie z. B. den Whitsunday Islands oder Dunk Island, und unzähligen Sandbänken. Die Fläche des Great Barrier Reef beträgt etwa 347.800 km². Es kann mit bloßem Auge vom Weltraum aus gesehen werden.

Der nördliche Abschnitt des Great Barrier Reef entstand erst, nachdem sich die Nordspitze Australiens im Zuge der Kontinentalverschiebungen vor etwa 15 Millionen Jahren in tropische Breitengrade vorschob. Erst die dort vorherrschenden Bedingungen und die höhere Wassertemperatur ermöglichten das Ansiedeln von riffbildenden Steinkorallen-Polypen auf dem nahe der Küste gelegenen Kontinentalsockel. Die Riffbildung durch die kalkabsondernden Steinkorallen war jedoch kein kontinuierlicher Prozess. Als Folge der Eiszeiten und des damit verbundenen Absinkens des Meeresspiegels trockneten die besiedelten Gebiete mehrfach aus und die lebenden Korallenpolypen starben ab. Zurück blieben jeweils Erhebungen durch Küstenkalksteine, die im Laufe der Zeit durch Sedimentation entstanden waren. Während der ebenso regelmäßig wiederkehrenden Überflutungen - verursacht durch die auf jede Eiszeit folgenden Eisschmelzen - siedelten sich die Korallen auf dem verbliebenen Sedimentgestein immer wieder erneut an und schufen weitere Kalkberge, die der Nachfolgegeneration jeweils als Fundament dienten.

Durch diese Prozesse entstand im Laufe der Zeit im nördlichen Teil des Riffs ein relativ zusammenhängendes Gebilde von Korallenriffen, das im Wesentlichen aus Riffen des Typs Barriere-Riff besteht. Durch die fortwährende Meeresboden-Absenkung bzw. den Meeresspiegelanstieg wächst diese Riffbarriere auf dem Kontinentalsockel seewärts. Zur Küstenseite ist das Riff durch eine breite und zwischen 50 und 100 Meter tiefe, mit kleineren Riffen und Korallenbänken durchzogene Lagune vom Festland getrennt. Auf der vom Festland abgewandten Seite - dem Outer Reef - fällt das Barriereriff, bzw. der Kontinentalabhang, an dem das Riff liegt, teilweise bis in 2.000 Meter Tiefe zum Meeresboden hin steil ab.

Die mittleren und südlichen Teile des Riffs sind später entstanden. Die einzelnen Barriereriffe sind dort in wesentlich weniger kompakten Formationen angeordnet. In diesem Abschnitt des Riffs haben sich vermehrt Saum-Riffe (engl.: fringing reef) gebildet, die den Barriereriffen sehr ähnlich sind und sich ebenfalls überwiegend seewärts ausbreiten. Sie wachsen aber nicht am Rand des Kontinentalsockels, sondern in direkter Küstennähe und haben zum Festland hin meist nur eine wenige Meter tiefe Lagune, die durch Erosion entstanden ist.

Große Gebiete des Riffs gehörten früher zum Festland und wurden ebenfalls durch den steigenden Meereswasserspiegel überflutet. So sind auch die meisten zum Riff gehörenden Inseln die Spitzen versunkener Berge. Sie stammen von einem Küstengebirge, welches während der letzten Eiszeit vom Festland abgetrennt wurde. Sie bestehen im Gegensatz zu echten Koralleninseln aus festem Gestein und sind meist von einem schmalen Saumriff umgeben, welches unmittelbar an deren Ufer wächst.

Auf den ebenen Anhöhen der versunkenen Gebiete - die nun ebenfalls dem Kontinentalsockel zugerechnet werden - haben sich Plattform-Riffe (engl.: platform reef) unterschiedlicher Größe gebildet. Sie sind auf jenen Flächen entstanden, wo der Meeresboden so weit an den Meeresspiegel heranreichte, dass der Lichteinfall stark genug war, um eine Ansiedlung von Korallen zu ermöglichen. Einige Plattformriffe erreichen inzwischen einen Durchmesser von bis zu 15 Kilometern.

Die sichtbaren Teile der farbenprächtigen Korallenriffe stammen aus der letzten Kaltzeit, die etwa 10.000 Jahre zurückliegt. Von diesem Zeitpunkt an konnten sich die unterschiedlichen Korallenarten wieder auf den verbliebenen Kalksteinen ansiedeln und zum einzigartig vielfältigen Lebensraum unzähliger Tierarten und Pflanzen werden. Auch in der Zukunft wird das Riff sowohl sein Aussehen als auch seine Ausdehnung verändern.

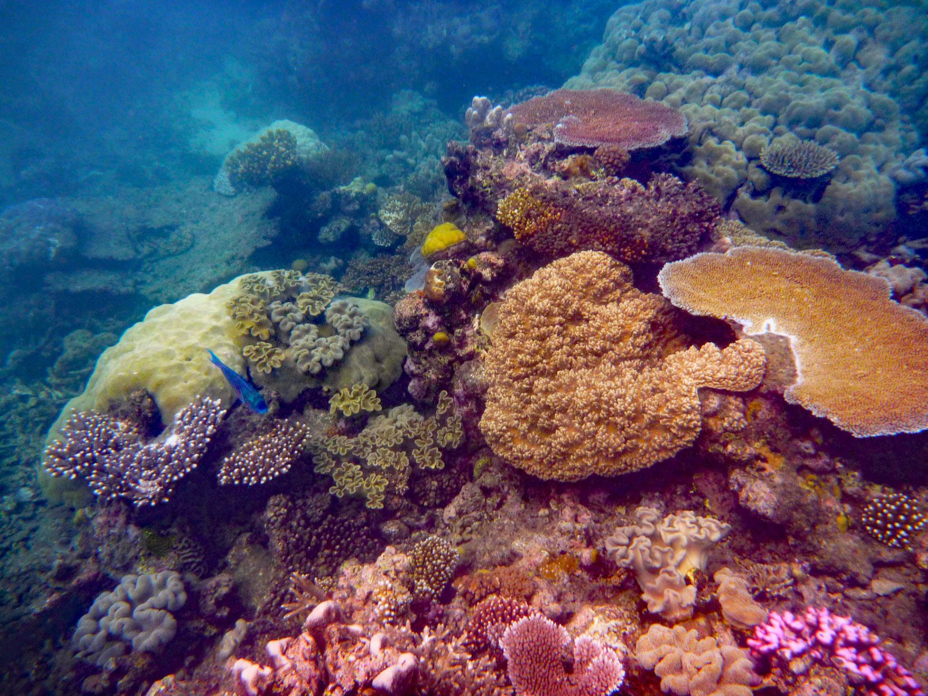
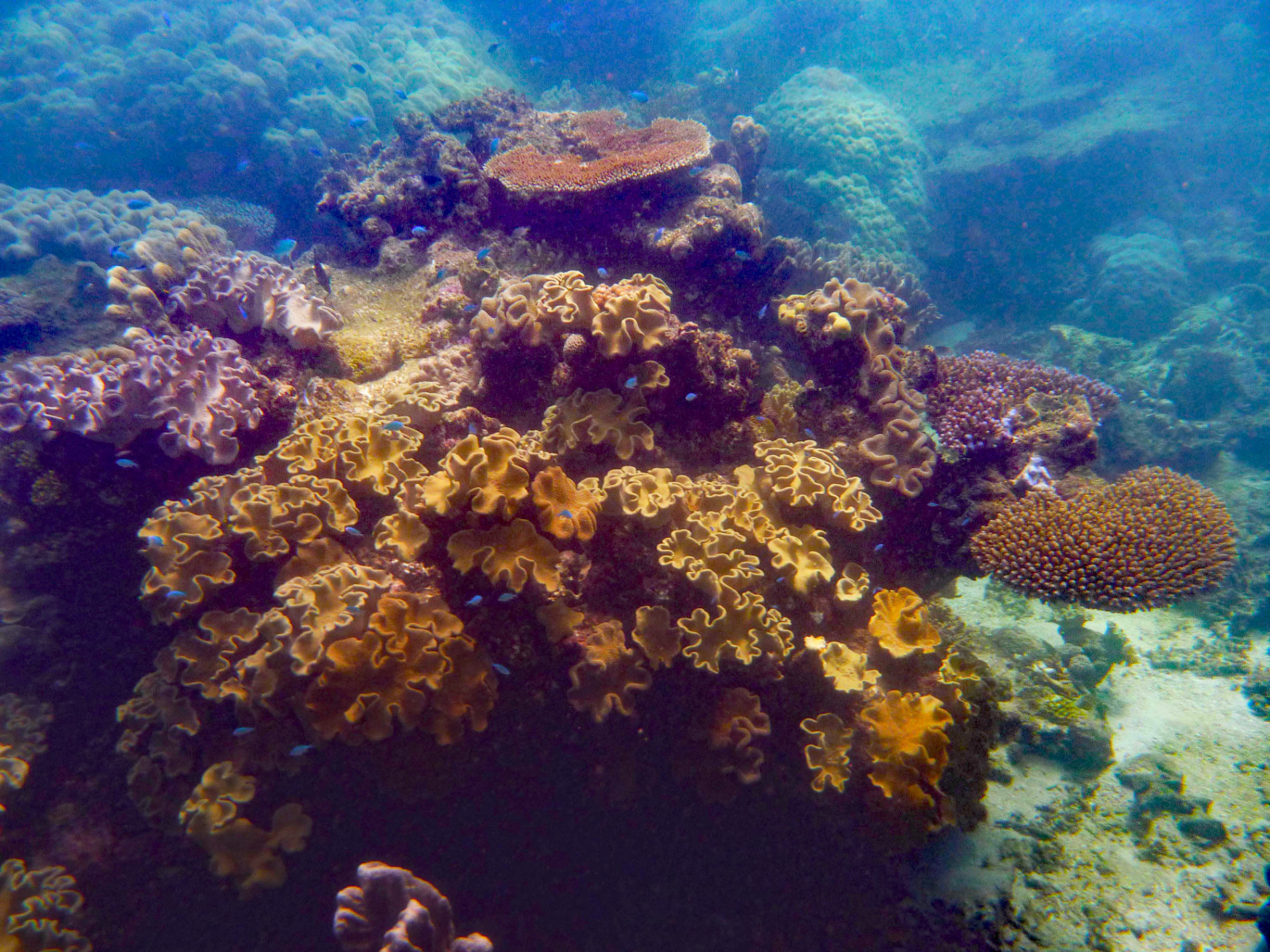
Das Great Barrier Reef bildet mit seinen 359 Steinkorallenarten die größte von Lebewesen geschaffene Struktur auf der Erde. Es bietet Lebensraum für eine Vielzahl von weiteren Arten; unter anderem sind dort 80 Arten von Weichkorallen und Seefedern, über 1.500 Fischarten, 1.500 Schwammarten, 5.000 Arten von Weichtieren, 800 Arten von Stachelhäutern wie zum Beispiel Seesternen, 500 verschiedene Arten von Seetang und 215 Vogelarten heimisch. Man findet im Great Barrier Reef sechs von insgesamt sieben weltweit vorkommenden Arten von Meeresschildkröten.

Etwa zwei Millionen Touristen besuchen das Riff jedes Jahr. Am 26. Oktober 1981 wurde das Riffsystem von der UNESCO zum Weltnaturerbe erklärt. Es erfüllt alle vier der damaligen Kriterien.

Zwischen 1985 und 2012 hat das Riff die Hälfte seiner Korallen verloren. Infolge der globalen Erwärmung war das Great Barrier Reef in den Jahren 1998 und 2002 und vor allem 2016 stark vom Massenkorallenbleichen betroffen. Im Jahr 2002 waren 60 bis 95 % des Riffs geschädigt. Der Großteil konnte sich wieder erholen - fünf Prozent des Riffs wurden jedoch in so gravierender Weise zerstört, dass es mehrere Jahre bis Jahrzehnte dauern wird, bis sich das Riff von den Schäden wieder vollständig erholt hat. Ein weiteres durch die Erderwärmung verursachtes Problem sind Zyklone, die in ihrer Intensität zugenommen haben, und mit ihren Wellen große Bereiche zerstören können. Die Versauerung der Meere durch Aufnahme von Kohlenstoffdioxid hat nachweislich die Wachstumsrate der Steinkorallen reduziert. Ein natürlicher, auch zerstörerischer Feind ist der giftige Dornenkronenseestern. Er tritt in zeitlichen Abständen massiv auf und verschwindet dann wieder. Sein noch unerforschtes Auftreten hinterlässt komplett abgestorbene Riffsektionen, da er die lebenden Korallenpolypen aus ihren schützenden Kalkgehäusen saugt und auffrisst.

Lage:

Informationen:

Ort: Great Barrier Reef

Land: Australien

Besucht am: 19.04.2012

Bilder:

Die Bildergallerie kann per Klick auf die Bilder gestartet werden